สมาชิก
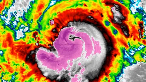
สิ่งของพระราชทาน-สิ่งของร่วมบริจาคช่วยผู้ประสบภัยพายุไซโคลนโมคา ถึงเมียนมาแล้ว

...