(ภาพจาก AFP PHOTO /NATIONAL OCEANIC AND ATMOSPHERIC ADMINISTRATION)


ซูเปอร์ไต้ฝุ่น “ฟงวอง” เคลื่อนตัวขึ้นฝั่งฟิลิปปินส์แล้วในคืนวันอาทิตย์ และกำลังทำให้เกิดฝนตกหนักเป็นวงกว้าง โดยล่าสุดพบผู้เสียชีวิตแล้ว 2 ศพ ขณะที่ประชาชนนับล้านคนต้องอพยพหนีพายุ

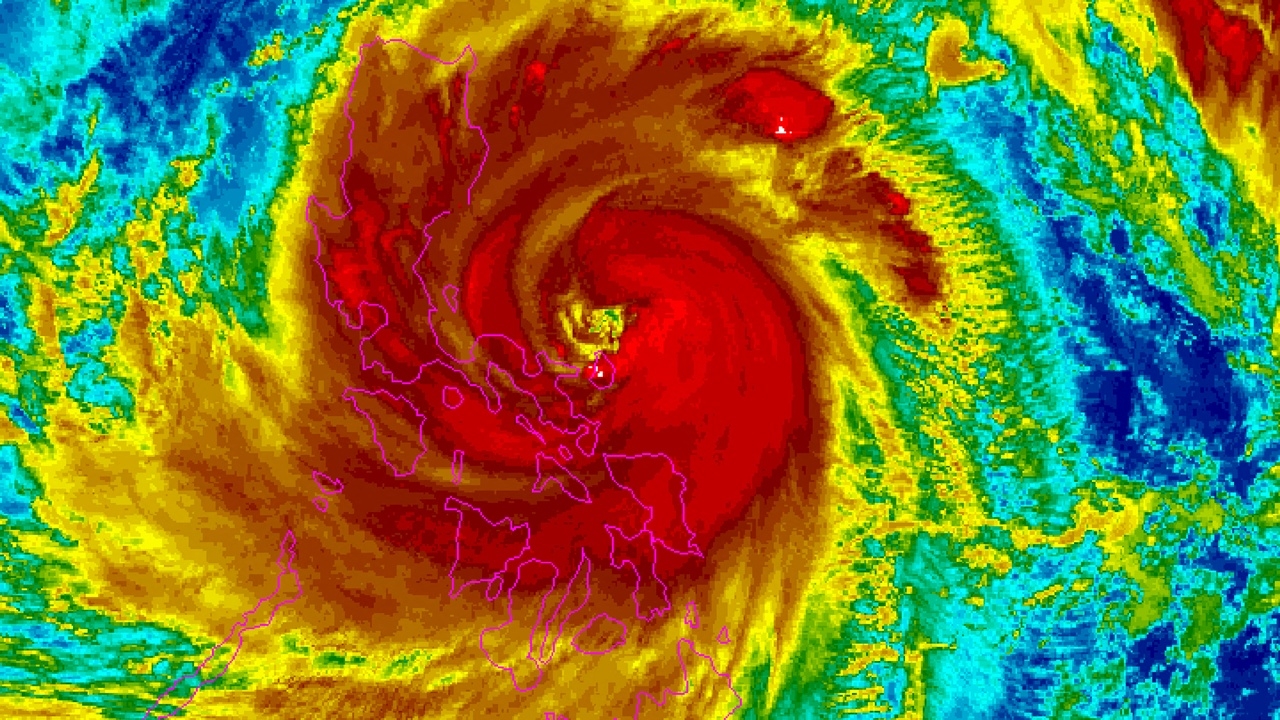
กรมอุตุนิยมวิทยาแห่งชาติของฟิลิปปินส์ (PAGASA) รายงานว่า ซูเปอร์ไต้ฝุ่น “ฟงวอง” (Fung-wong) เคลื่อนตัวขึ้นฝั่งทางตะวันออกของประเทศแล้ว เมื่อคืนวันอาทิตย์ที่ 9 พ.ย. 2568 โดยอิทธิพลของมันทำให้มีผู้เสียชีวิตไปแล้วอย่างน้อย 2 ศพ ตั้งแต่ตอนยังไม่ขึ้นฝั่ง และทำให้ประชาชนมากกว่า 1 ล้านคนต้องอพยพออกจากบ้านเรือน

PAGASA ระบุว่า พายุลูกนี้ซึ่งมีรัศมีครอบคลุมเกือบทั้งประเทศฟิลิปปินส์ขึ้นฝั่งที่จังหวัด เอาโรรา บนเกาะลูซอน ซึ่งเป็นเกาะหลัก เมื่อเวลา 21.10 น. ตามเวลาท้องถิ่น ไม่กี่วันหลังจากพายุไต้ฝุ่น “คัลแมกี” พัดถล่มภาคกลางของประเทศและคร่าชีวิตผู้คนไป 224 ศพ

ไต้ฝุ่นฟงวองขึ้นฝั่งด้วยความเร็วลม 185 กิโลเมตรต่อชั่วโมง และความเร็วลมกระโชกสูงสุด 230 กิโลเมตรต่อชั่วโมง โดยมันกำลังพัดถล่มพื้นที่หลายส่วนของเกาะลูซอนด้วยฝนที่ตกลงมาอย่างหนักและเป็นวงกว้าง

พื้นที่ส่วนใหญ่ของเกาะลูซอน ซึ่งเป็นเกาะที่มีประชากรมากที่สุดของฟิลิปปินส์ อยู่ภายใต้การประกาศเตือนภัยพายุขั้นสูงสุด และขั้นสูงสุดลำดับ 2 ขณะที่เขตเทศบาลกรุงมะนิลากับจังหวัดใกล้เคียงอยู่ภายใต้การเตือนภัยระดับ 3

เพื่อป้องกันไว้ก่อน หน่วยงานกำกับดูแลการบินพลเรือนได้สั่งปิดสนามบินหลายแห่ง รวมถึงท่าอากาศยานนานาชาติ ไบโคล และสนามบินซังเลย์ ในกรุงมะนิลา

ตามการเปิดเผยของสำนักงานป้องกันภัยพลเรือน อิทธิพลของไต้ฝุ่นฟงวองทำให้มี ผู้เสียชีวิตจากการจมน้ำ 1 รายในจังหวัดคาตันดัวเนส ขณะที่หน่วยดับเพลิงกู้ร่างของหญิงรายหนึ่งที่ติดอยู่ใต้ซากบ้านที่พังถล่มในเมืองคัตบาโลกัน ขึ้นมาได้สำเร็จ

...

ทั้งนี้ พายุฟงวอง หรือที่ในท้องถิ่นเรียกกันว่า อูวาน (Uwan) เป็นพายุลูกที่ 21 ที่พัดเข้าถล่มฟิลิปปินส์ในปี 2568 นี้ ซึ่งตามปกติจะเผชิญพายุเฉลี่ย 20 ลูกต่อปี

PAGASA คาดการณ์ว่า ตั้งแต่วันจันทร์ พายุฟงวองจะเคลื่อนตัวไปทางตะวันตกเฉียงเหนือ ก่อนจะเปลี่ยนไปเคลื่อนตัวขึ้นเหนือภายในวันอังคาร โดยที่มันจะยังมีความรุนแรงในระดับพายุไต้ฝุ่นต่อไป

จากนั้นภายในวันพุธ (12 พ.ย.) ฟงวองจะเคลื่อนตัวเข้าสู่ ช่องแคบไต้หวัน และจะอ่อนกำลังลงก่อนขึ้นฝั่งทางตะวันตกของเกาะไต้หวันในวันพฤหัสบดี โดยคาดกันว่า มันจะอ่อนกำลังลงอย่างรวดเร็ว ก่อนจะเคลื่อนที่เข้าสู่ผืนน้ำของหมู่เกาะริวกิว ในฐานะพายุหมุนเขตร้อน


ติดตามข่าวต่างประเทศ : https://www.thairath.co.th/news/foreign


ที่มา : cna