ไต้ฝุ่นทกซูรีมาแล้ว ทางการไต้หวัน และเมืองซัวเถา สั่งปิดโรงเรียนและหน่วยงานต่างๆ รับมือพายุไต้ฝุ่นกำลังแรงสุดเป็นอันดับ 2 ของปีนี้

เมื่อ 27 ก.ค. 2566 ทางการเมืองซัวเถา ในมณฑลกวางตุ้ง ภาคใต้ของจีนและไต้หวันรับมือไต้ฝุ่นทกซูรี สั่งปิดโรงเรียนและสำนักงานต่างๆ ในวันนี้ (27 ก.ค. 2566) ขณะพายุมุ่งหน้าผ่านไต้หวัน มีทิศทางขึ้นฝั่งมณฑลฝูเจี้ยน ทางภาคตะวันออกเฉียงใต้ของจีน หลังจากอิทธิพลของไต้ฝุ่นทกซูรี ซึ่งทวีกำลังเป็นซุปเปอร์ไต้ฝุ่น ได้ถล่มเกาะลูซอน ทางภาคเหนือของฟิลิปปินส์ เมื่อวันพุธที่ผ่านมา ส่งผลให้เกิดฝนตกหนัก น้ำท่วมฉับพลัน เป็นเหตุให้มีผู้เสียชีวิตอย่างน้อย 6 ศพ

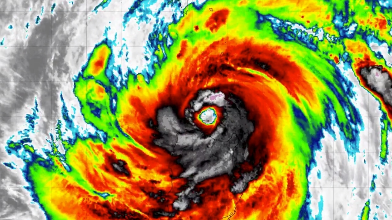
สำนักงานอุตุนิยมวิทยาของไต้หวัน ได้จัดให้ไต้ฝุ่นทกซูรี ถือเป็นไต้ฝุ่นกำลังแรงที่สุด อันดับ 2 ที่ส่งผลกระทบต่อไต้หวันในปีนี้ โดยไต้ฝุ่นทกซูรี มีความเร็วลมใกล้ศูนย์กลางพายุถึง 190 กิโลเมตรต่อชั่วโมง และถึงแม้ไต้ฝุ่นทกซูรีไม่ได้ขึ้นฝั่งเกาะไต้หวันโดยตรง แต่อิทธิพลของไต้ฝุ่นกำลังแรงลูกนี้ ส่งผลให้เกิดลมกระโชกแรง และฝนตกหนักทั่วช่องแคบไต้หวัน และพื้นที่โดยรอบ 

...

ทางการเมืองเกาสง เมืองท่าทางภาคใต้ และเมืองไถหนาน เมืองสำคัญทางประวัติศาสตร์ของไต้หวัน ได้ส่ังปิดหน่วยงานทางการและโรงเรียนทั้งหมด โดยที่เมืองเกาสง ได้มีการอพยพประชาชนราว 300 คน ที่อาศัยใกล้เชิงเขา เนื่องจากหวั่นเกรงอาจเกิดดินโคลนถล่มจากฝนตกหนัก ขณะที่สายการบินต่างๆ ได้ยกเลิกเที่ยวบินหลายร้อยเที่ยว

อิทธิพลของพายุไต้ฝุ่นทกซูรี ถล่มเกาะลูซอน ภาคเหนือของฟิลิปปินส์
อิทธิพลของพายุไต้ฝุ่นทกซูรี ถล่มเกาะลูซอน ภาคเหนือของฟิลิปปินส์

ติดตามข่าวต่างประเทศที่นี่ : https://www.thairath.co.th/news/foreign

ที่มา : AP,Reuters