พายุไต้ฝุ่นกำลังแรง ‘มาวาร์’ มาแล้ว จ่อถล่มญี่ปุ่น คาดว่าจะเคลื่อนถึงเกาะโอกินาวา ช่วงปลายสัปดาห์นี้ เตือนทะเลปั่นป่วน อาจเกิดคลื่นสูงถึง 5 เมตร 

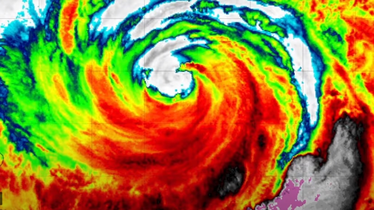
เมื่อ 30 พ.ค. 2566 สำนักอุตุนิยมวิทยาญี่ปุ่นแจ้งเตือนประชาชนบนเกาะโอกินาวา ทางตะวันตกเฉียงใต้ของญี่ปุ่น ระมัดระวังอันตรายจากอิทธิพลของพายุไต้ฝุ่นกำลังแรง มาวาร์ ที่กำลังเคลื่อนตัวในทิศทางตะวันตกเฉียงเหนือจากบริเวณตะวันออกของฟิลิปปินส์ มุ่งหน้ามายังญี่ปุ่น และคาดว่าพายุไต้ฝุ่นมาวาร์ จะมาถึงพื้นที่บางแห่งของจังหวัดโอกินาวา บนเกาะโอกินาวา ในช่วงปลายสัปดาห์นี้

สำนักอุตุนิยมวิทยาญี่ปุ่นคาดว่า พายุไต้ฝุ่นมาวาร์จะเคลื่อนตัวถึงเกาะซากิชิมะ ในวันพุธที่ 31 พ.ค. โดยอิทธิพลของพายุไต้ฝุ่นมาวาร์ ซึ่งมีความเร็วลมใกล้ศูนย์กลางพายุสูงถึง 216 กิโลเมตรต่อชั่วโมง อาจทำให้เกิดคลื่นสูงถึง 5 เมตร ซัดชายฝั่งเกาะโอกินาวา และอาจมีคลื่นสูงถึง 7 เมตร ถาโถมซัดชายฝั่งเกาะซากิชิมะเลยทีเดียว

ไม่กี่วันก่อนหน้านี้ ไต้ฝุ่นมาวาร์ ซึ่งก่อตัวในมหาสมุทรแปซิฟิก ได้พัดถล่ม "เกาะกวม" ของสหรัฐฯ จนนับเป็นพายุที่รุนแรงที่สุดในรอบ 20 ปีที่ถล่มเกาะกวม ทำให้เกิดฝนฟ้าคะนอง ลมกระโชกแรง ประชาชนไม่มีกระแสไฟฟ้าใช้ 

ที่มา : Japantimes