ชาวออสเตรเลีย ระทึก เตรียมเผชิญพายุไซโคลนอันตราย โอเวน จ่อถล่มรัฐควีนส์แลนด์ เตือนระวังฝนตกหนักมาก จนก่อให้เกิดน้ำท่วมฉับพลัน คลื่นสูงซัดฝั่ง

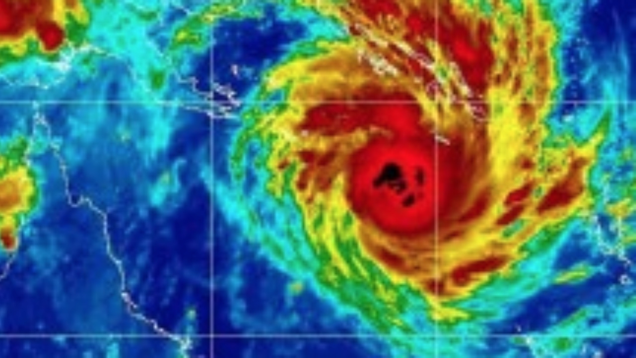
เมื่อ 14 ธ.ค.61 สำนักข่าวต่างประเทศรายงาน ทางการออสเตรเลียออกคำเตือนประชาชนในรัฐควีนส์แลนด์ ทางตะวันออกเฉียงเหนือของประเทศ ระวังอันตรายจากพายุไซโคลนกำลังแรง ‘โอเวน’ ซึ่งกำลังเคลื่อนที่อย้างช้าๆ มุ่งหน้ามายังรัฐควีนส์แลนด์ ขณะที่มีความเร็วลมบริเวณศูนย์กลางพายุ อยู่ที่ประมาณ 200 กม./ชม.

สำนักอุตุนิยมวิทยาออสเตรเลีย ประกาศเตือนว่า ไซโคลน โอเวน อาจจะทวีความรุนแรงขึ้นไปถึงระดับ 4 ก่อนเคลื่อนตัวขึ้นฝั่งบริเวณชายฝั่งตะวันออกของรัฐควีนส์แลนด์ ช่วงเช้าวันเสาร์ที่ 15 ธ.ค. ตามเวลาท้องถิ่น และคาดว่าจะสร้างความเสียหายอย่างหนักทั่วรัฐควีนส์แลนด์

ด้านทางการรัฐควีนส์แลนด์ได้ระดมกำลังเจ้าหน้าที่กู้ภัยฉุกเฉินเตรียมพร้อมให้ความช่วยเหลือประชาชนที่อยู่ในทิศทางที่พายุไซโคลนโอเวนจะเคลื่อนตัวพัดผ่าน โดยสำนักอุตุนิยมวิทยาออสเตรเลีย ยังเตือนว่า ในบางพื้นที่ของรัฐควีนส์แลนด์ ซึ่งปกติมักเผชิญภาวะแห้งแล้ว แต่คราวนี้ อาจมีฝนตกหนักมาก จนวัดปริมาณน้ำฝนได้ถึง 400 มิลลิเมตรในช่วงไม่กี่วันข้างหน้า นอกจากนั้น ยังเตือนให้ประชาชนระวังสตรอมเซิร์จ คลื่นสูงซัดฝั่ง รวมทั้งน้ำท่วมฉับพลันด้วย

...