ชาวไต้หวันระทึกสุดๆ เตรียมเผชิญซุปเปอร์ไต้ฝุ่น ‘จ่ามี’ ตอนนี้กำลังสะสมพลังในมหาสมุทรแปซิฟิก คาดจะทวีความรุนแรงขึ้นไปจนเท่าเฮอริเคนระดับ 4-5 ถล่มไต้หวันแบบเต็มๆ ก่อนพายุจะพัดขึ้นเหนือถล่มญี่ปุ่นต่อไป

เมื่อ 25 ก.ย.61 สำนักข่าวต่างประเทศและเว็บไซต์ Taiwannews รายงาน ชาวไต้หวันต้องระทึกกันอีก เตรียมเผชิญไต้ฝุ่น จ่ามี (Trami) ที่ทวีกำลังขึ้นเป็นซุปเปอร์ไต้ฝุ่น และยังเป็นพายุลูกที่ 24 ของปีนี้ ที่จ่อถล่มไต้หวัน คาดจะเคลื่อนตัวถล่มแบบเต็มๆ ในวันศุกร์ที่ 28 และวันเสาร์ที่ 29 ก.ย. โดยจะก่อให้เกิด ลมกระโชกรุนแรง  และฝนตกหนักมาก จนอาจเกิดน้ำท่วมฉับพลัน หลังจากสัปดาห์ก่อน ไต้หวันเพิ่งประสบกับพายุฝนตกหนักจากอิทธิพลของซุปเปอร์ไต้ฝุ่นมังคุด 

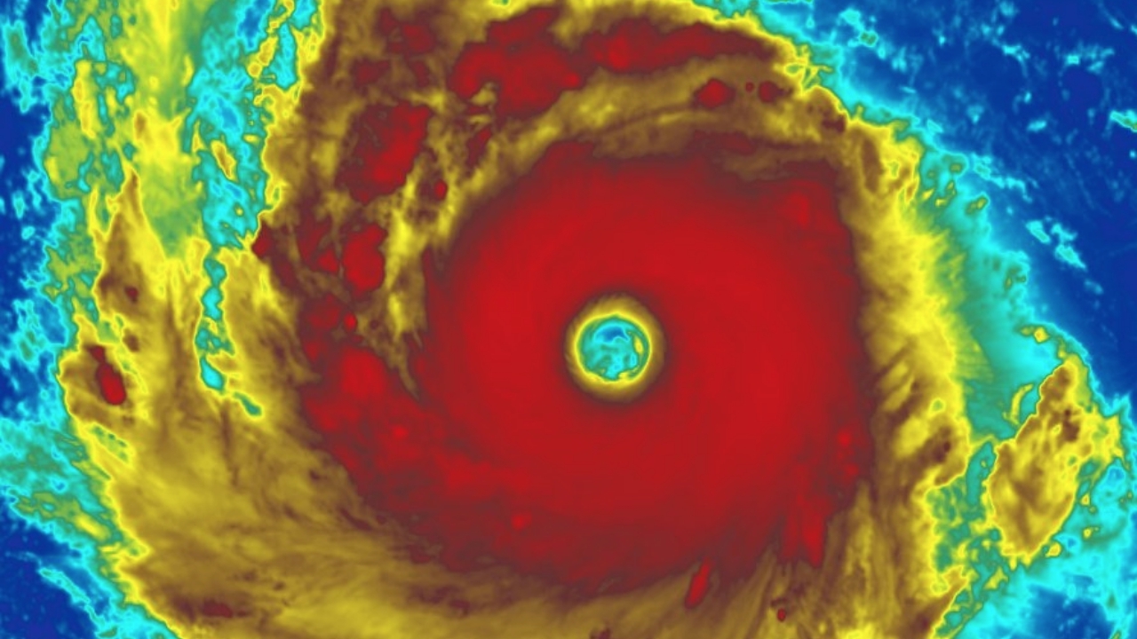
สำนักงานอุตุนิยมวิทยาไต้หวัน รายงานว่า เมื่อเวลาประมาณ 02.00 น.ของวันที่ 25 ก.ย. ซุปเปอร์ไต้ฝุ่นจ่ามี กำลังเคลื่อนตัวอย่างช้าๆ ไปทางทิศตะวันตกเฉียงเหนือ ขณะที่ความเร็วลมบริเวณศูนย์กลางพายุอยู่ที่ 234 กม./ชม. โดยซีเอ็นเอ็น แจ้งว่า ไต้ฝุ่นจ่ามี กำลังสะสมพลัง ขณะเคลื่อนตัวทางตะวันตกของมหาสมุทรแปซิฟิก ใกล้กับฟิลิปปินส์ โดยคาดว่าจะทวีความรุนแรงขึ้นไปเป็นซุปเปอร์ไต้ฝุ่นภายในวันนี้ และคาดว่าจะเคลื่อนตัวถล่มไต้หวัน ด้วยความรุนแรง เท่ากับเฮอริเคนระดับ 4 หรือ 5 ก่อนคาดว่า จะพัดขึ้นเหนือไปถล่มเกาะริวกิวของญี่ปุ่นต่อไปในสุดสัปดาห์นี้

...

ด้าน NOAA Sattlelite ได้เผยแพร่คลิปวิดีโอ จากดาวเทียม Himawari-8 แสดงให้เห็นการเคลื่อนตัวบริเวณศูนย์กลางของพายุ ที่เรียกว่า ‘ตาพายุ’ ของซุปเปอร์ไต้ฝุ่นจ่ามี ที่เคลื่อนตัวอย่างรวดเร็ว สุดน่ากลัว

ข่าวเกี่ยวข้อง

สุดน่ากลัว พายุใหญ่กว่าเกาะ ซุปเปอร์ไต้ฝุ่น จ่ามี มาแล้ว จ่อซัดไต้หวัน