ชาวไต้หวัน-ชาวญี่ปุ่น หายใจไม่ทั่วท้อง หวั่นวิตกถึงหายนะภัย จากพายุอันตราย ซุปเปอร์ไต้ฝุ่น จ่ามี (TRAMI) ขณะเคลื่อนตัวมาทางทิศตะวันตกของมหาสมุทรแปซิฟิก และมีแนวโน้มพัดผ่านไต้หวัน ก่อนเปลี่ยนทิศทางขึ้นเหนือพัดผ่านญี่ปุ่นเป็นเป้าหมายต่อไป...

*ซุปเปอร์ไต้ฝุ่นลูกที่ 2 ในเวลาไม่ถึง 2 สัปดาห์

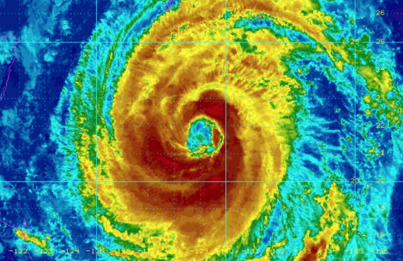
พายุไต้ฝุ่นจ่ามี ก่อตัวขึ้นในมหาสมุทรแปซิฟิก และสะสมพลังจนทวีความรุนแรงขึ้นมาเป็นซุปเปอร์ไต้ฝุ่น แรงเท่าเฮอริเคนระดับ 5 มีความเร็วลมบริเวณศูนย์กลางพายุเกิน 252 กม./ชม. ขณะเคลื่อนตัวเข้าใกล้เกาะไต้หวันในช่วงวันที่ 24-26 กันยายน ที่ผ่านมา จนสร้างความวิตกกังวลอย่างหนัก เพราะขนาดของพายุอันตรายสุดๆ ลูกนี้ ใหญ่กว่าเกาะไต้หวันเสียอีก

ซุปเปอร์ไต้ฝุ่นจ่ามี ถือเป็นพายุรุนแรงระดับสูงสุด ที่ตามหลัง ซุปเปอร์ไต้ฝุ่นมังคุด (Mangkhut) มาติดๆ โดยทิ้งระยะห่างกันไม่ถึง 2 สัปดาห์ ซึ่งอิทธิพลความรุนแรงของซุปเปอร์ไต้ฝุ่นมังคุดที่เคลื่อนตัวขึ้นฝั่งที่จังหวัดคากายัน บนเกาะลูซอน ทางภาคเหนือของประเทศฟิลิปปินส์ เมื่อ 15 กันยายน ที่ผ่านมา ได้ก่อให้เกิดลมกระโชกแรงจัด คลื่นสูงซัดฝั่ง ฝนตกหนักมาก จนทำให้ดินถล่ม เป็นเหตุให้มีผู้เคราะห์ร้าย รวมทั้งคนงานเหมืองที่ถูกดินถล่ม เสียชีวิตกว่า 74 ราย

หลังซุปเปอร์ไต้ฝุ่นมังคุดถล่มฟิลิปปินส์แล้ว ทางการฮ่องกงและจีนยังคงยกระดับเตือนภัยไต้ฝุ่นมังคุดขั้นสูงสุด ขณะที่พายุลูกนี้เคลื่อนตัวพัดผ่านฮ่องกง เกาะมาเก๊า ทำให้เกิดลมพายุรุนแรง ต้นไม้หักโค่นจำนวนมาก ไฟฟ้าดับ ฝนตกหนัก น้ำท่วม ก่อนที่ไต้ฝุ่นมังคุดจะขึ้นฝั่งที่มณฑลกวางตุ้ง ทางตอนใต้ของจีนแผ่นดินใหญ่ จนต้องอพยพคนกว่า 2.5 ล้านคน ขณะที่ตัวเลขผู้เสียชีวิตจนถึงวันที่ 18 กันยายน 2561 อยู่ที่ 79 ราย เป็นที่ฟิลิปปินส์ 4 ราย ไต้หวัน 1 ราย และจีนแผ่นดินใหญ่ 4 ราย

...

*ภาพสุดสะพรึงจากนอกโลก

ท่ามกลางความหวั่นวิตกต่ออันตรายจากซุปเปอร์ไต้ฝุ่นจ่ามี ด้าน อเล็กซานเดอร์ เกอร์สต์ (Alexander Gerst) นักบินอวกาศชาวเยอรมัน วัย 42 ปี ซึ่งประจำการอยู่ที่สถานีอวกาศนานาชาติ (ISS) ที่ลอยอยู่ในห้วงอวกาศเหนือโลก ได้โพสต์รูปถ่ายสุดสะพรึงของซุปเปอร์ไต้ฝุ่น จ่ามี ผ่านทางทวิตเตอร์ ขณะพายุลูกนี้กำลังเคลื่อนเข้าใกล้ไต้หวัน

‘มันเหมือนมีใครบางคนไปดึงจุกอุดมหึมาของโลกออก จ้องมองลงไปที่ตาของพายุรุนแรงอีกลูก ซุปเปอร์ไต้ฝุ่นจ่ามี รุนแรงระดับ 5 ที่ไม่อาจหยุดยั้งได้ และกำลังมุ่งหน้าสู่ญี่ปุ่นและไต้หวัน ขอให้คนข้างล่างที่นั่นปลอดภัย!’ อเล็กซานเดอร์ เกอร์สต์ ทวีตข้อความทางทวิตเตอร์

*ไต้หวันโล่งใจขึ้นบ้าง ไม่โดนถล่มเต็มๆ พายุเปลี่ยนเส้นทาง

ชาวไต้หวันโล่งใจขึ้นบ้าง เมื่อพายุเปลี่ยนเส้นทาง พัดมาไม่ถึงเกาะไต้หวัน ตามที่มีการคาดการณ์ไว้ในเบื้องต้น โดยเมื่อวันที่ 27 ก.ย. ซุปเปอร์ไต้ฝุ่นจ่ามี ได้ลดกำลังลงและเคลื่อนตัวอย่างช้าๆ เปลี่ยนทิศทางขึ้นไปทางเหนือ มุ่งหน้าไปทางประเทศญี่ปุ่น

เจ้าหน้าที่สำนักอุตุนิยมวิทยาไต้หวัน รายงานว่า มีแนวโน้มที่ซุปเปอร์ไต้ฝุ่นจ่ามี จะเคลื่อนตัวเข้าใกล้เกาะไต้หวันมากที่สุด ระหว่างคืนวันศุกร์ที่ 28 ก.ย. และช่วงกลางวันของวันเสาร์ที่ 29 ก.ย.นี้ โดยเมื่อวันที่ 27 ก.ย. ซุปเปอร์ไต้ฝุ่นจ่ามี ได้เคลื่อนตัวอย่างช้าๆ ไปทางทิศตะวันตกเฉียงเหนือ และจะไม่เคลื่อนตัวขึ้นฝั่งที่ไต้หวัน ตามที่คาดการณ์กันไว้ตอนแรก

...

*เตือนไต้หวัน เจอทั้งลมทั้งฝนหนักมาก คลื่นสูง 6-8 เมตร

ถึงแม้ซุปเปอร์ไต้ฝุ่นจ่ามีจะไม่ขึ้นฝั่งถล่มเกาะไต้หวันแบบเต็มๆ แต่อิทธิพลของซุปเปอร์ไต้ฝุ่นกำลังแรงลูกนี้ จะส่งผลให้เกิดฝนตกหนักมากทางภาคเหนือของเกาะไต้หวัน จนอาจทำให้เกิดดินถล่ม ก่อนจะเคลื่อนตัวขึ้นหน้ามุ่งสู่ญี่ปุ่น นอกจากนั้นยังเกิดลมพายุกระโชกรุนแรง คลื่นในทะเลทางภาคตะวันออกของไต้หวันอาจสูงถึง 5 เมตร ส่วนคลื่นทางภาคเหนืออาจสูงถึง 6-8 เมตรเลยทีเดียว

...

*ญี่ปุ่นระทึก เผชิญไต้ฝุ่นจ่ามี ทั้งประเทศ

เว็บไซต์ accuweather รายงานเตือนว่า ถึงแม้ไต้ฝุ่นจ่ามีจะเคลื่อนตัวอย่างช้าๆ เมื่อวันที่ 27 ก.ย. มุ่งหน้าสู่เกาะริวกิว ของญี่ปุ่น แต่ไต้ฝุ่น จ่ามียังคงเป็นพายุไต้ฝุ่นที่อันตรายมาก โดยขณะนี้ได้ลดระดับความรุนแรงลงมาเท่าเฮอริเคนระดับ 3 แต่ด้วยความที่พายุเคลื่อนตัวช้าลง จึงทำให้ผู้คนยังพอมีเวลาในการเตรียมตัวถึงผลกระทบอันตรายจากพายุ รวมถึงการอพยพหนีภัยไต้ฝุ่นจ่ามี

จากแนวโน้มการเคลื่อนตัวของพายุไต้ฝุ่นจ่ามี คาดว่าจะเคลื่อนตัวถึงเกาะริวกิว ทางภาคใต้ของญี่ปุ่น ในช่วงคืนวันที่ 27 ก.ย. จนถึงวันที่ 28 ก.ย.นี้ โดยหลังจากพายุขึ้นฝั่งเกาะริวกิวแล้ว จะพัดผ่านใกล้เกาะคิวชู และชิโกกุ ก่อนจะเคลื่อนตัวขึ้นเหนือไปยังเกาะฮอนชู และฮอกไกโด มุ่งหน้าสู่ทางตะวันออกของรัสเซียต่อไป

เรียกว่า ดูจากแนวโน้มทิศทางการเคลื่อนตัวของไต้ฝุ่นจ่ามีแล้ว ชาวญี่ปุ่นทั้งประเทศทุกพื้นที่ เสี่ยงต่อหายนะภัยจากไต้ฝุ่นอันตรายสุดๆ ลูกนี้ ซึ่งได้แต่ภาวนาขอให้คนที่นั่นแคล้วคลาดปลอดภัย...